55 (50-56) chemin Magnique

2025 : Vinci a reçu un permis de construire pour 49 logements en 2 bâtiments (PC 06004 25 00011 du 16/09/2025) sur un terrain de 5193 m2.

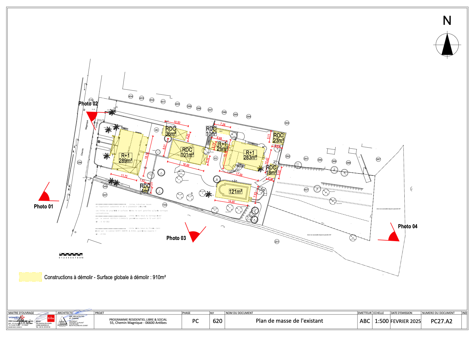
Démolition totale des volumes existants.

Le projet regroupe 4 parcelles : D0046, D0063, D0437 & D0436.

55 chemin Magnique

Chemin Magnique 06600 Antibes 2024 Vinci vue 1
février 2024

Le chemin Magnique. Derrière la haie au centre de la photo, l’une des villas qui seront démolies pour faire place à 2 immeubles totalisant 49 logements. La photo a été prise du chemin des Combes. 

Chemin Magnique 06600 Antibes 2024 Vinci vue 2
février 2024

La même maison, en regardant vers le chemin des Combes.

Chemin Magnique 06600 Antibes 2024 Vinci vue mer
février 2024

Le site bénéficie d’une vue mer avec le Fort Carré au milieu.

Plan de masse

55 chemin Magnique 06600 Antibes octobre 2025 plan de masse Vinci Erilia
PLU Mairie d’Antibes

Démolitions

55 chemin Magnique 06600 Antibes octobre 2025 démolitions Vinci Erilia
PLU Mairie d’Antibes

Façades

55 chemin Magnique 06600 Antibes octobre 2025 façade bât A Vinci Erilia
Bâtiment A
55 chemin Magnique 06600 Antibes octobre 2025 façade bât A Vinci Erilia
Bâtiment B, logements sociaux PLU Mairie d’Antibes

Plan Local d’Urbanisme (PLU)

594 chemin des Combes 06600 Antibes projet Vinci Immobilier 2024 PLU
PLU Mairie d’Antibes

Les terrains sont en zone UCa2 : hauteur limité à 9 mètres (R+2)

Cadastre

594 chemin des Combes 06600 Antibes projet Vinci Immobilier 2024 Cadastre
Géoportail - Cadastre

Le projet regroupe 4 parcelles (DO 46 – 63 – 437 – 436) pour un total de 5193 m2. 

Le permis de construire

55 chemin Magnique 06600 Antibes accord de permis de construire
PLU Mairie d’Antibes
55 chemin Magnique 06600 Antibes octobre 2025 permis de construire Vinci
10/2025

Permis N° :  06 004 25 A0008
Accordé le : 15/09/2025
Mairie : Antibes – service urbanisme
Bénéficiaire : Vinci Immobilier
Surface du terrain :  5193 m2
Hauteur de la construction :  9,46 mètres
Superficie du plancher HON autorisée : 2474 m2
Architecte : ABC Architectes
Nature du projet : Démolition totale et construction de 2 collectifs d’habitation de 49 logements dont 15 logements sociaux.
Surface à démolir : 910 m2